Enfin
chez vous !

Bureau 
225m2 
PAU 
1 760 euros

+5 Afficher toutes les photos
Afficher le diaporama

Caractéristiques détaillées

Surfaces : 225m2 Chauffage : individuel electrique
Voir toutes les caractéristiques Fermer

Descriptif du bien

PAU  / Bureau
1 760 € CC/mois
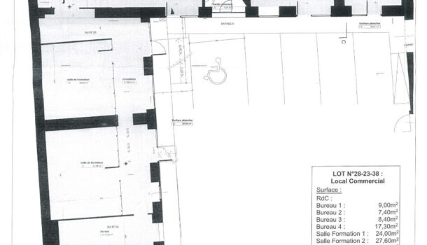
Rue du Maréchal Joffre idéal profession libérale composé de, accueil, 8 bureaux et 3 WC. POSSIBILITE DE DIVISION EN DEUX Loyer CC / mois : 1 760.00 ? dont provisions mensuelle des charges : 30.00 ? Dépôt de garantie : 3 460.00 ? Honoraires charge locataire : 1 370.16 ? TTC (dont EDL : 675.00 ? - surface habitable 225.20 m²).

Conditions
Loyer : 1760 € par mois charges comprises
Charges locatives : 30 €
Dépôt de garantie : 3 460 €
Honoraires à charge du locataire : 1 290.96 € TTC
Référence : 3094

Caractéristiques détaillées

Surfaces : 225m2 Chauffage : individuel electrique
Voir toutes les caractéristiques Fermer

Contacter l'agence

Localisation : PAU

Le vendeur n'a pas communiqué l'adresse précise de ce bien
Demander l'adresse précise à l'agence

Recevez les annonces similaires directement par mail